Tochimoto:Dioscoreae Rhizoma
(→Topic) |
(→内部形態:鏡検) |
||
| Line 148: | Line 148: | ||
| − | + | ===産地による比較=== | |
| − | + | ||
| − | + | ||
| − | + | ====JP規格外==== | |
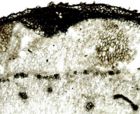
| − | + | *内皮に相当する部分に石細胞環が認められる。 | |
| + | {| | ||
| + | |valign="top"| | ||
| + | ;山薬 <中国江西省> | ||
| + | *担根体 | ||
| + | |valign="top"| | ||
| + | ;山薬 <中国広西壮族自治区> | ||
| + | *担根体 | ||
| + | |- | ||
| + | |[[Image:Tochimoto-Dioscorea-江西山薬・担根体J.jpg|140px]] | ||
| + | |[[Image:Tochimoto-Dioscorea-広西山薬・担根体J.jpg|140px]] | ||
| + | |- | ||
| + | |valign="top"| | ||
| + | *石細胞(偏光下観察) | ||
| + | |valign="top"| | ||
| + | *石細胞(偏光下観察) | ||
| + | |- | ||
| + | |[[Image:Tochimoto-Dioscorea-江西山薬・石細胞・偏光J.jpg|140px]] | ||
| + | |[[Image:Tochimoto-Dioscorea-広西山薬・石細胞・偏光J.jpg|140px]] | ||
| + | |} | ||
| − | + | ====JP規格品==== | |
| − | + | {| | |
| − | + | |valign="top"| | |
| + | ;山薬<中国河南省> | ||
| + | *外面は削られてはいるが、周皮が残っている部分がわずかに認められ、コルク層付近の観察可。内皮附近に石細胞は認められない。 | ||
| + | |valign="top"| | ||
| + | ;山薬<中国江蘇省> | ||
| + | *周皮がほとんど削られており、コルク層はほとんど認められない。最外層附近に石細胞は認められない。 | ||
| + | |valign="top"| | ||
| + | ;山薬<中国江蘇省> | ||
| + | *内皮は不明瞭で、石細胞環は認められない。 | ||
| + | |- | ||
| + | |[[Image:Tochimoto-Dioscorea-山薬<河南>0005C049J.jpg|140px]] | ||
| + | |[[Image:Tochimoto-Dioscorea-山薬<江蘇>0003C049J.jpg|140px]] | ||
| + | |[[Image:Tochimoto-Dioscorea-江蘇山薬・担根体J.jpg|140px]] | ||
| + | |} | ||
| − | + | ===[[Species:Dioscorea|''D. batatas'']] と [[Species:Dioscorea|''D. alata'']] の比較=== | |
| − | + | {| | |
| − | + | |valign="top"| | |
| − | + | ;''D. batatas'' | |
| − | + | *担根体 | |
| − | + | |valign="top"| | |
| − | + | ;''D. alata'' | |
| − | + | *担根体 | |
| − | + | |valign="top"| | |
| − | + | |- | |
| − | + | |[[Image:Tochimoto-Dioscorea-ナガイモ・担根体J.jpg|140px]] | |
| − | + | |[[Image:Tochimoto-Dioscorea-ダイジョ・担根体J.jpg|140px]] | |
| − | + | | | |
| − | + | |- | |
| − | + | |valign="top"| | |
| − | + | *根 | |
| − | + | *内皮は不明瞭で、石細胞環は認められない(担根体、根ともに)。 | |
| + | |valign="top"| | ||
| + | *石細胞(偏光下観察) | ||
| + | *内皮に相当する部分に石細胞環が認められる。 | ||
| + | |valign="top"| | ||
| + | |- | ||
| + | |[[Image:Tochimoto-Dioscorea-ナガイモ・根J.jpg|140px]] | ||
| + | |[[Image:Tochimoto-Dioscorea-ダイジョ・石細胞・偏光J.jpg|140px]] | ||
| + | | | ||
| + | |- | ||
| + | |valign="top"| | ||
| + | *茎 | ||
| + | |valign="top"| | ||
| + | *茎 | ||
| + | |valign="top"| | ||
| + | ;''D. alata'' | ||
| + | *茎の翼 | ||
| + | *''D. alata''の茎には翼が発達し、葉は対生するので、識別は容易である | ||
| + | |- | ||
| + | |[[Image:Tochimoto-Dioscorea-ナガイモ・茎J.jpg|140px]] | ||
| + | |[[Image:Tochimoto-Dioscorea-ダイジョ・茎J.jpg|140px]] | ||
| + | |[[Image:Tochimoto-Dioscorea-ダイジョ・茎・稜部J.jpg|140px]] | ||
| + | |} | ||
Revision as of 15:18, 24 December 2010
| Crude-drug Top Gallery |
General Index | Names | Prescriptions | Books | Journals | Terminology | Chinese Medicines |
| 出典: 栃本天海堂創立60周年記念誌 |
山薬 (Dioscoreae Rhizoma)
山薬はヤマノイモ科のヤマノイモDioscorea japonica Thunbergまたはナガイモ Dioscorea batatas Decaisneの周皮を除いた根茎を基原とする。原名は薯蕷であったが、唐の代宗の名が「預」で、いみ名(諱)を避け、薯葯といったが、その後、宋の英宗のいみ名「曙」との関係で遂に山薬と改められた。ヤマノイモ科ヤマノイモ属(Dioscorea属)の種類は非常に多い(約600種)が、この中で食用になる芋類を総称してヤムイモと呼ばれ、生薬「山薬」の原料となる。医食同源の最たる生薬といえる。 (より詳しく見る→栃本天海堂創立60周年記念誌)
|
山 薬
『日本薬局方 第15改正(JP15)』
- 山薬:DIOSCOREAE RHIZOMA
- ヤマノイモ Dioscorea japonica Thunberg またはナガイモ Dioscorea batatas Decaisne]] (Dioscoreaceae)の周皮を除いた根茎(担根体) と規定されている。
『中華人民共和国薬典 2005年版』
- 山薬:RHIZOMA DIOSCOREAE
- 薯蕷 Dioscorea opposita Thunb.の干燥した根茎と規定されている。
『大韓薬典 第9改正』
- 산약 山薬:DIOSCOREAE RHIZOMA
- 마 Dioscorea batatas Decaisne または 참마 Dioscorea japonica Thunberg の根茎でそのまま、または蒸して乾燥したものと規定されている。
- ナガイモ D.batatas は、D.opposita と同一種とされている。
市場流通品と現状
市場の山薬は日本産と中国産の2つに分けられる。日本産山薬は日局にヤマノイモ D. japonicaが記載されているが生薬としては流通していない。主に食用として栽培されるナガイモD. batatasを原料に作られている。中国産山薬の基原植物には、ナガイモ以外にD. alata L.があり、日局の基原には不適であるが、低価格の広西壮族自治区産山薬として一部で流通している。
日本産と中国産では基本的な加工方法に大きな違いがある。日本産の場合は、皮を剥いだ後、そのまま加熱乾燥をするが、中国産は皮を剥いだ後に圧縮して水分を搾り出し後に乾燥する「毛条山薬」と、毛条山薬をさらにチョーク状に成形加工する「光山薬」がある。ヤマイモは灰汁が強く、生薬として白く仕上げるには硫黄燻蒸の処理が必要であるが、硫黄の残留には注意が必要である。
また、ヤマイモを押さえつけて水分を出すと一緒に含有成分も抜けてしまうため、当社では特別に圧縮せず極力少量の硫黄燻蒸で生産させた江蘇省・山東省の「栃本の毛条山薬」を主に使用している。
- 当社の調剤用「山薬」はエキス含量が高い、日本産山薬と栃本の毛条山薬を使用している。
生産加工状況
- 日本産山薬 青森県
- 栃本の毛条山薬 中国江蘇省
圧縮して水分を搾り出した後に乾燥する中国式加工方法は、エキスの流出を招くため、日本式の加工方法を指導し、生産している。
- 契約している加工工場で加工調製
理化学的品質評価
| 産地or規格 | 検体数 | 灰分 6.0%以下 |
酸不溶性灰分 0.5%以下 |
乾燥減量 14.0%以下 希エタノール エキス含量 |
水製 エキス含量 | |
|---|---|---|---|---|---|---|
| 日本ALL | 112 | 5.1 ±0.6 | 0.2 ±0.1 | 10.4 ±1.6 | 15.8 ±2.2 | 16.8 ±2.6 |
| 中国(特殊・日式加工品) | 36 | 3.8 ±0.6 | 0.1 ±0.1 | 12.4 ±1.9 | 20.4 ±5.2 | 21.8 ±5.7 |
| 中国(一般市場品) | 70 | 2.2 ±0.8 | 0.1 ±0.1 | 12.9 ±1.8 | 7.8 ±2.7 | 8.9 ±3.4 |
| 日本・皮去 | 50 | 4.9 ±0.5 | 0.2 ±0.1 | 10.6 ±1.6 | 15.7 ±2.2 | 17.1 ±2.4 |
| 日本・皮付 | 54 | 5.2 ±0.5 | 0.2 ±0.1 | 10.2 ±1.7 | 16.0 ±2.2 | 16.6 ±2.8 |
- 灰分
- 日本ALL > 中国(栃本特殊・日式加工品) > 中国(一般市場品) ( p < 0.05 )
- 希エタノールエキス含量&水製エキス含量
- 中国(栃本特殊・日式加工品) > 日本ALL > 中国(一般市場品) ( p < 0.05 )
- 日本産:皮去と皮付の比較
- 灰分 : 皮付 > 皮去 ( p < 0.05 )
- 希エタノールエキス含量&水製エキス含量
- 皮去と皮付にいずれも有意差無し.
| 相関係数 | 日本ALL | 中国ALL | 中国 (特殊・日式加工品) |
中国 (一般市場品) |
|---|---|---|---|---|
| 灰分と希エタノール エキス含量 |
0.254 | 0.837 | 0.523 | 0.823 |
| 灰分と水製 エキス含量 |
0.225 | 0.850 | 0.534 | 0.848 |
| 希エタノールエキス含量と 水製エキス含量 |
0.742 | 0.992 | 0.988 | 0.950 |
Topic
- D. alata を基原とするもの(例:中国・広西産)には、D. batatas には認められないスポットが認められる(Rf値0.4付近の黄色のスポットとRf値0.7付近の淡紅色のスポットの両方または一方が認められる)。
内部形態:鏡検
JP15:内部形態についての記載はない。
本品は円柱形~不整円柱形を呈し、長さ5~15cm、径1~4cm、ときには縦割または横切したものである。外面は類白色~帯黄白色で、折面は類白色を呈し、平らで粉性である。質は堅いが、折りやすい。 本品はほとんどにおい及び味がない。 |
産地による比較
JP規格外
- 内皮に相当する部分に石細胞環が認められる。
|
|
|
|
JP規格品
|
|
|
|
|
D. batatas と D. alata の比較
|
|
|
|
|
|
|
|
|

